. The Sullivan
County Settlers Web Page is grateful to
Burke for his historical information and beautiful pictures. You can also access Burke's Campbellville historical page at
Campbellville, Pennsylvania.
On or about the year 1849, John Campbell, his wife Mary, and sons James, Hiram and Joseph
transferred his milling operations in Bradford county to his son John, Jr. and moved into Forks Township,
Sullivan County. Searching out a spot for the erection of a new gristmill, he selected a location at the union of
Level Branch and Lick Creek. Thereupon he purchased seventeen and a half acres for the sum of thirty-seven and one half dollars US from Thomas Coggins.
Immediately John began construction of his new grist mill and a covered bridge across Level
Branch to serve the milling needs of the farmers in the area. The mill was constructed with a "turbine driven shaft"
which is located below water at the center of the edge of the mill. It was driven by a gate and sluice allowing the
water to race past it and drive the vertical shaft. John Campbell once said, "In the fall when farmers would bring
their grain to be milled, a joyous time was had." as farmers waited their turn, which may have taken a day or two.
The covered bridge was built by the "Burr Truss" method, first introduced in 1804 and patented in 1817. Old records
show that Campbell did not always receive cash. Instead he would take a percentage of the crop to be milled--usually a
fifth to an eighth depending on the type of milling wanted, such as flour, corn meal, bran, cream of wheat, etc.
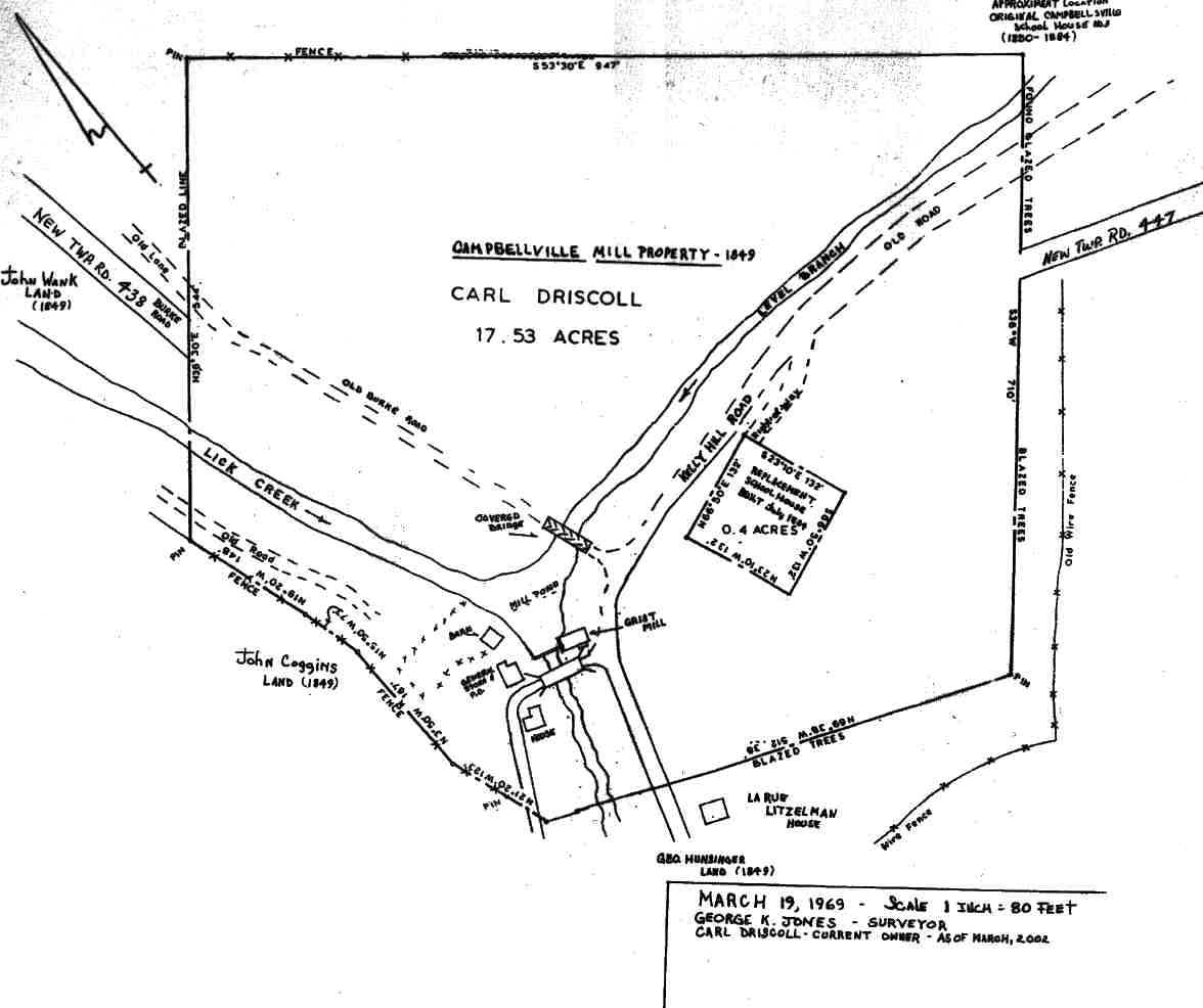
Here is what the Campbellville Mill Property layout looked like when it was surveyed in 1969. The original showed the
old roads and the new ones marked. So, it was simple to locate where the covered bridge was and of
course where the mill was, and, from early pictures of the hamlet, exactly where
the other known buildings were located. All that had to be done was to white out the new
roads and "voila!"-- there it was. Carl Driscoll was the current owner in 2002. The survey dimensions
still matched the original ones when John Campbell bought it from Coggins in 1849. The schoolhouse property shown in
the middle was arranged by Powell Norton in July 1884 after the old school
built in 1850/1851 (top right) burned down in May 1884.

Campbellville Mill Property
1969 Survey
Campbellville, PA
Survey modified and photo contributed by Burke Campbell
A small village soon developed with the mill as the nucleus and it was
called Campbellville for the owner of the mill. At that time, there was one house already
there (formerly a logging cabin,) the first to be built in the area. That house is now over
200 years old and still inhabited by the Litzelman family. A cluster of houses was built along
with a schoolhouse, a general store and post office. On 8 January 1851, John Campbell was
made the first US Postmaster of Campbellville.
There were other early families in this area who came to be well-known in Sullivan and Bradford Counties in
the course of the nineteenth century. One of these families was the
large extended Kelly family descended from four brothers and a sister who emigrated from Clonakilty, County Cork,
Ireland beginning in 1846. The Kelly siblings first emigrated from Cork to New York City.
Some time after that, they ended up on Kelly Hill near Overton, just up the road from Campbellville at the so-called
"Devil's Elbow". The oldest was Michael, born in 1823. Daniel Kelly, another brother and the great-grandfather of Bob Sweeney, the Sullivan County Geneaolgical Web Page historian,
was born in 1829 and appears to have emigrated with his brothers; his petition for naturalization in 1854 can be
found in the Orphan's Court Records for Sullivan County in Laporte, PA. Their sister Hanora came somewhat later and
settled nearby. There is extensive information on these Kelly families and a separate Settlers Page devoted to them will be created for this site in future.

Covered Bridge, Post Office, Store and Powell Norton
House
From Foreground to Back
Campbellville Around 1900
Source: Eleanor Cranmer Photo Collection
By Permission of the Sullivan County Historical Society
We also know that the Kelly family helped John Campbell with the construction of his grist mill and
were among the earliest customers there. It is difficult to know eaxctly which Kelly brother helped John Campbell and
when. Ironically, John Conmey who was related by marriage to another set of Bob Sweeney's ancestors also lived in
Campbellville and was a customer of the grist mill. Our contributor, Burke Campbell, found some scribbling and small notes from a great
uncle's papers that included research on Campbellville and its founder John Campbell. Burke's great-great grandfather.
As mentioned above, John Campbell started construction of his gristmill and the covered bridge there in the spring of
1849. He obtained his lumber from the Hunsinger sawmill less than 1/8th of a mile down stream on Lick Creek that
had just been established in 1848/1849. The Kelly brothers and several other local farmers assisted John Campbell
in building his house and the covered bridge that was over Level Branch. The bridge connected Burke Road to Kelly
Hill Road, and the right-of-way continued down Lick Creek Road that follows the creek downstream. Daniel Kelly was one of the very
first folks to use the gristmill after it was built and opened in the fall of 1849. Apparently, he assisted John
Campbell in the building of the siding of the mill in exchange for "no toll" on his first grinding of grain. John would
normally charge something like a quart dry measure for each bushel of grain ground. Very little cash money exchanged
hands then. The first two farmers to actually mill at Campbellville were James Kelly, yet another Kelly brother, and
John Wank; the third and fourth were John Conmey and the Norton family. Both were next door so-to-speak neighbors. Wank's
property bordered the Campbell and Kelly lands and was next up the way.
Here is a picture of Daniel Kelly and his wife Mary Leahy Kelly.

Daniel Kelly (1829-1902) and Mary (Leahy) Kelly (1840-1898)
Contributed by Bob Sweeney
Source: Helen "Bessie " Kelly Beirne, In the Beginning.., 1974
Here is a picture of the Norton house in 1897, then owned by Ed Norton, Powell's descendant. Burke Campbell thinks it may be the place that is in ruins just north out
of Campbellville in 2002, but is not sure. The Campbells and Nortons were related by marriage as well. Both a grandson and a great-granddaughter of John Campbell married
Norton descendants.

Home of Ed Norton and Family 1897
Campbellville Area
Contributed by Burke Campbell
The Reverend Richard Bedford, another neighbor for many
years, held church services in the one room schoolhouse at Campbellville.
After he passed on, services (denomination unknown) were still held there
through about 1919 until the room caught fire and burned down. For many many years
the buildling also housed an organ. John Campbell and Richard Bedford were close friends for almost 30 years.
Bedford was instrumental in having Campbell appointed the first postmaster of Campbellville in 1851, and he handled
Campbell's estate later in 1881 when John died. When Campbell built the grist mill at Campbellville in 1849, Bedford was one of the first local
farmers to bring his grain to be milled there. As it turns out, the Reverned Bedford kept a diary that was rediscovered in the Elmira, NY area in 2001.
The contents have not yet all been made available for publication. However, there is a list of over 100 marriages
that he performed in the area available in the section of this site devoted to the Local Sullivan County Histories.
Here is a picture of the opened diary.

Diary of Reverend Richard Bedford
Discovered in Elmira, NY in 2001
Photo Contributed by Burke Campbell
A current picture of the site of the old school is shown at the top of this page.
Many local families attended this one-room schoolhouse through at least 1916. In the Kelly family alone, Regis,
Willie, Francis, Florence, Alice, Raymond Jerome, Julia and James all attended. There were children named Kester, Bahl, Keeney and others too. Miss Agnes Leahy was their school teacher in the late 1800s. The mill and covered bridge would have been immediately just around the curve going down Kelly Hill Road in the picture.
The building (at the same location and with the same size as the schoolhouse ground floor) is
a summer residence now.
Here is a copy of the annual report filed by C. J. Shaffer, the schoolteacher in April 1916, and a second picture with his list of attending students. The only complaints seemed to be the need for a paint job and a request that urinals be installed at the school.

Campbellville Annual School Report 1916
Photo Contributed by Burke Campbell

Campbellville School Students 1916
Photo Contributed by Burke Campbell
Editor's Note: There are several members of the Kelly family of Kelly Hill in Overton, PA listed on the school roster. These are relatives of the Kelly family introduced on this site at various locations accessible through the Kelly Reunion 2006 page. One of these Kelly children, Regis, a 4th grader in 1916, subsequently began to spell his name as "Kelley" when an adult, perhaps to conceal his Catholic identity.
Some of the residents over the first fifty years were: John & Mary Campbell, James H. Campbell, Hiram M. & Hannah B. Campbell, 2nd Postmaster, Robert Warburton, 4th Postmaster, Joseph Campbell, Wilson R. Campbell, 5th Postmaster, William Campbell, 6th Postmaster, M. Warburton, 7th Postmaster, Hiram L. Campbell, Powell Norton, 8th Postmaster, Watson & Ada (Bedford) Fawcett, Thomas R. & Josie Wank, John & Sara Wank and daughter Laura, Mr. & Mrs. Henry Wank, James Hart (who died there in 1880), Mr. & Mrs. John Fleming and their daughter Melvia.
In 1902, a flood washed away the mill which led to the demise of the village over time. During the first half of the 1900's, a resident was burning brush near the edge of the surrounding woods and caught the woods on fire, which burned the general store and some of the houses. In 1954-55 the covered bridge was auctioned off and sold to Otis and Florence Hatch of Forksville for $82.50.
The picture on the top page of this site shows the old Litzelman House as it looks today. I have been told by
the owner that it was the first house in the area back in the 1830-40 era, and was first a logging cabin. Now, if you look at the picture closely,
just to the left of the window with the wood stick across it (the window on the right), you can
see a faint vertical line. The line separates the older building (front) from the
addition in the back. It's a lot clearer up close in person naturally. The house is currently inhabited by Litzelman descendants. The lady of the house
claims it's over 200 years old. The house for sure is over 128 years old, as it is indicated on the 1872 map of Sullivan County. So I suspect she is right on.
She is 80 years old and remembers going to the then still surviving general store as a youth.
The first picture shown below is a photo taken of an oil painting made from an 1899 actual black and white photograph. The oil painting adorns the wall of my den.
Right where the covered bridge and mill stood, there were only a few houses close by. The rest of the Campbellville
"neighborhood" was located in adjacent farms surrounding the mill. Right by the mill itself, there were perhaps three houses, a general store and
post office combined, and a saw mill a few hundred yards away. The second picture shows the combined general store and post
office taken probably about 1912. There is also a link to a list of Campbellville postmasers at the end of this page. The bridge crosses Lick Creek, with a house on the left and the
general store/PO on the right. The auto on the bridge is vintage 1910-1912. Out of view to the left are the mill and covered bridge over Level Creek, which merges into
Lick Creek between the two bridges. Now take a look at the third picture, which shows the same intrsection as the second picture in more recent times. This is the crossing known today as the Devil's elbow.
See the tree at center right. Well, to the immediate right of the tree, about two feet or so, there was a house and general store
with the road passing on the right of them as you view the picture. A tight fit I'd say.
Lick Creek is in the center down below the road, heading downstream away from the viewer. Today
everything is gone. But thanks for letting me resurrect Campbellville.
Burke S. Campbell
St. Louis, MO



Here is a complementary excerpt from the History of Forks Township written by George Streby in 1903:
About 1850 John Campbell erected a gristmill at Campbellville and about the same time George Hunsinger erected a sawmill near the same place. The flood of December 1901 took out both gristmill and a sawmill. The gristmill property is owned by Norton & Hottenstein and the sawmill property by George Kester, who has erected a steam saw mill since the flood. Powell Norton, of the firm of Norton & Hottenstein, conducts a store at Campbellville and is also postmaster at that place.
Streby also listed the registered voters for Campbellville at the time of his comments (1903):
Bahl. EJ
Fawcett, Watson
Haverly, Wm D
Kester, Geo W
Kenney, Ezra
Litzelman, Geo J
McCarty, MJ
McCarty, Septer
Mathews, Manning
Mathews, Jerome
Norton, RW
Norton, Powell
Norton, Manley
Finally, we recently compiled a list of the postmasters who held office in Campbellville from 1851
to 1920. You can see the list, and other interesting historical
information about the postal service at Postmasters at Campbellville.
Copyright © 2001 Robert
E. Sweeney and individual Contributors. All Rights Reserved. Prior written
permission is required from Robert E. Sweeney and individual Contributors before
this material can be printed or otherwise copied, displayed or distributed
in any form. This
is a FREE genealogy site sponsored through PAGenWeb and can be reached directly
at ~Sullivan County Genealogy Project (http://www.rootsweb.com/~pasulliv)